藤沢市鵠沼松が岡は、駅近でありながらも落ち着いた住環境が維持されており、湘南のなかでも人気の高い邸宅地です。
107坪超の広大な敷地は、ゆとりある間取りや、ご希望のガーデンスペースを確保するのにおすすめです。
利便性と、湘南らしい開放感を両立させた土地です。                    
                《鵠沼海岸駅7分》107坪超の夢敷地・・・陽光あふれる湘南の邸宅地
湘南の洗練された住環境、藤沢市鵠沼松が岡に。
理想の邸宅をゼロから実現するための、広大な土地が出ました。
鵠沼松が岡は、鵠沼海岸エリアの中でも特に静謐で格調高い住環境が保たれており、湘南の暮らしを求めるお客様から定評を得ています。
小田急江ノ島線**「鵠沼海岸駅」まで徒歩7分**と、駅へのアクセスが非常に優れている点も大きな魅力です。
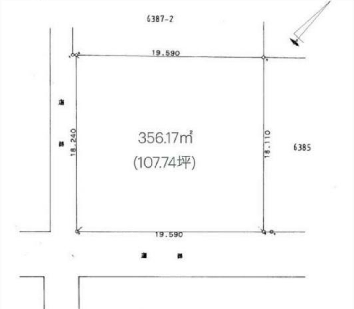
この土地は**107.74坪(356.17m²)**という、このエリアでは稀な広さを誇ります。設計の自由度が非常に高く、開放的な邸宅や、豊かな緑を配したお庭づくりが可能です。
**海までは約1,200メートル(徒歩15分)**と、散策するには心地よい距離感があり、海辺の穏やかな空気を感じる暮らしが実現します。
この上質な環境で、お客様だけの特別な住まいを、ご一緒に創り上げませんか。
| 所在地 | 藤沢市鵠沼松が岡4丁目 | 交通 |         小田急江ノ島線 /
        鵠沼海岸駅
                徒歩7分 小田急江ノ島線 / 本鵠沼駅 徒歩10分 江ノ島電鉄線 / 鵠沼駅 徒歩11分  | 
|---|---|---|---|
| 種別 | 土地 | 価格 | 1億4,980万円 | 
| 土地面積 | 356.17m² (107.74坪) 間取り・区画図を取り寄せる | 権利形態 | 所有権 | 
| 私道負担 | 都市計画 | 市街化区域 | |
| 地目 | 宅地 | 用途地域 | 第一種低層住居専用 | 
| 現況 | 古屋あり更地渡し | 建ぺい率 | 40% | 
| 取引形態 | 仲介 | 容積率 | 80% | 
| 物件番号 | 56-29123 | ||
| 備考 | 
                                都市ガス・本下水 引き渡し: 相談 そうてつローゼンまで徒歩8分 約600m セブンイレブンまで徒歩7分 約520m 市立湘南学園高校まで徒歩7分 約530m 八部公園まで徒歩14分 約1090m クリエイトSDまで徒歩8分 約570m  | 
                        ||
物件について
ご質問、資料請求、現地見学を
ご希望の方、
こちらよりお気軽に
お問い合わせくださいませ。
| 物件番号 | 56-29123 | 
|---|
                            この物件について
お電話でのお問合わせはこちらから
                    お電話でのお問合わせはこちらから






